公式ホーム > 物件トップ > 土地 > 行田市の土地一覧

行田市 土地一覧

行田市土地の購入情報 検索結果一覧

行田市土地を買うなら、ファイブイズホームの土地検索にお任せください。現在、行田市の土地販売情報を28件掲載中です。人気の分譲・建売住宅情報を検索できます。写真や間取りから、希望に合った土地情報がきっと見つかります。ファイブイズホームで自分にピッタリな行田市の土地を見つけましょう。

行田市土地28

人気の条件から絞り込む

表示順序
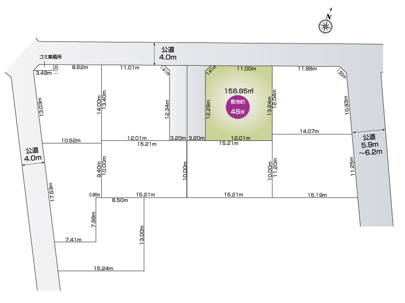
    • 【区画図】
    • 土地
    • 見学可
    • 当社限定
    ハートのアイコン 行田市大字野1号地

    430万円

    月々の支払い
    1万円/月 クエスチョンマーク430万円を金利0.720%で40年借入れした場合の試算。
    土地面積
    276.61㎡(83.67坪)
    小学校
    行田市立埼玉小学校(約1,690m)
    中学校
    行田市立埼玉中学校(約1,460m)

    \土地80坪以上!広い土地をお探しの方に♪/
    <行田市大字野 1号地>

    ≫物件のポイント
    ■広々とした敷地
    ■全3区画の分譲地
    ■フルオーダー・セミオーダー可
    ■建築条件付き

    ≫周辺環境
    ■JR吹上駅まで車で12分
    ■フジモール車で9分
    ■アバンセまで車で9分

    ◇自由設計可能
    ◇お好きな間取りでマイホームを建てられます
    ◇住宅ローンが不安な方!お気軽にお問い合わせください!◇

    • 【間取り】
    • 【区画図】
    • 土地
    • 仲介手数料無料
    • 見学可
    • 当社限定
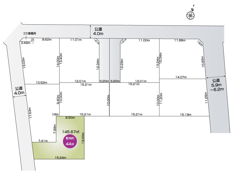
    ハートのアイコン 行田市桜町3丁目9号地

    630万円

    月々の支払い
    1.5万円/月 クエスチョンマーク630万円を金利0.720%で40年借入れした場合の試算。
    土地面積
    145.67㎡(44.06坪)
    小学校
    行田市立桜ヶ丘小学校(約780m)
    中学校
    行田市立長野中学校(約750m)
    • 駅徒歩6分以内
    • 小学校10分以内
    • スーパー近い
    • 都市ガス
    • 本下水

    <売主>☆駅まで徒歩6分!
    土地44坪【都市ガス・本下水】
    ~行田市桜町3丁目9号地~

    ≫物件のポイント
    ■土地44坪
    ■分譲地内にゴミ集積所あり
    ■路地状敷地のためプライベートしっかり確保!

    ≫生活環境
    ■スーパー徒歩4分
    ■コンビニ徒歩3分
    ■総合病院徒歩5分
    ■保育園徒歩5分

    ◇資料請求・ご見学の予約など、お気軽にお問い合わせください!

    • 【間取り】
    • 【区画図】
    • 土地
    • 仲介手数料無料
    • 見学可
    • 当社限定
    ハートのアイコン 行田市大字野3号地

    630万円

    月々の支払い
    1.5万円/月 クエスチョンマーク630万円を金利0.720%で40年借入れした場合の試算。
    土地面積
    314.03㎡(94.99坪)
    小学校
    行田市立埼玉小学校(約1,670m)
    中学校
    行田市立埼玉中学校(約1,440m)

    \土地90坪以上!広いお庭をお考えの方に♪/
    <行田市大字野 3号地>

    ≫物件のポイント
    ■90坪以上の敷地
    ■全3区画の分譲地
    ■フルオーダー・セミオーダー可

    ≫周辺環境
    ■JR吹上駅まで車で12分
    ■フジモール車で9分
    ■アバンセまで車で9分

    ◇お好きな間取りでマイホームを建てられます♪
    ◇駐車スペースやお庭も広く確保できます
    ◇住宅ローンが不安な方!お気軽にお問い合わせください!◇

    • 【間取り】
    • 【区画図】
    • 土地
    • 仲介手数料無料
    • 見学可
    • 当社限定
    ハートのアイコン 行田市桜町3丁目2号地

    680万円

    月々の支払い
    1.6万円/月 クエスチョンマーク680万円を金利0.720%で40年借入れした場合の試算。
    土地面積
    160.10㎡(48.43坪)
    小学校
    行田市立桜ヶ丘小学校(約760m)
    中学校
    行田市立長野中学校(約730m)
    • 駅徒歩5分以内
    • 小学校10分以内
    • スーパー近い
    • 都市ガス
    • 本下水

    【売主】☆暮らしやすい環境が魅力の売地!
    ◆行田市桜町3丁目2号地◆

    ≫物件のポイント
    ■土地48坪
    ■分譲地内にゴミ集積所あり
    ■都市ガス・本下水
    ■学校やスーパー等徒歩圏内充実!

    資料請求・ご見学の予約など、お気軽にお問い合わせください!

    • 【区画図】
    • 土地
    • 仲介手数料無料
    • 見学可
    • 当社限定
    ハートのアイコン 行田市大字持田1区画

    680万円

    月々の支払い
    1.6万円/月 クエスチョンマーク680万円を金利0.720%で40年借入れした場合の試算。
    土地面積
    147.39㎡(44.58坪)
    小学校
    行田市立西小学校(約400m)
    中学校
    行田市立西中学校(約450m)
    • 南道路
    • 小学校10分以内
    • スーパー近い

    【売主】1区画☆駅まで徒歩15分
    ~小学校徒歩5分・南道路・角地~

    ◎物件のポイント
    ■南道路・角地
    ■面積40坪以上

    ◎周辺環境
    ■学校まで徒歩6分圏内
    ■買い物や外出に便利な立地
    ■保育施設充実エリア

    ◇資料請求・現地見学のご予約などお気軽にお問い合わせください!

    • 【外観】
    • 【間取り】
    • 【区画図】
    • 土地
    • 仲介手数料無料
    • 見学可
    • 当社限定
    ハートのアイコン 行田市谷郷3丁目4号地

    730万円

    月々の支払い
    1.8万円/月 クエスチョンマーク730万円を金利0.720%で40年借入れした場合の試算。
    土地面積
    158.13㎡(47.83坪)
    小学校
    行田市立北小学校(約1,820m)
    中学校
    行田市立長野中学校(約1,450m)
    • 南道路
    • 駅徒歩13分以内

    ☆売主☆【南道路・角地】
    ~行田市谷郷3丁目39期4号地~

    ○物件のポイント○
    ■土地面積 47坪
    ■駅まで徒歩13分
    ■日当たり良好な南向き・角地
    ■今ならお好きな間取りで建築可能
    ■コンビニまで徒歩12分
    ■鉄道2路線利用可能

    \まずは一度、現地をご覧ください/

    ◇資料請求・見学予約等、お気軽にお問い合わせください!

    • 【間取り】
    • 【区画図】
    • 土地
    • 仲介手数料無料
    • 見学可
    • 当社限定
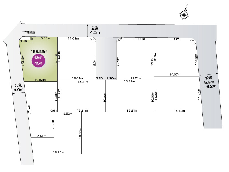
    ハートのアイコン 行田市桜町3丁目1号地

    730万円

    月々の支払い
    1.8万円/月 クエスチョンマーク730万円を金利0.720%で40年借入れした場合の試算。
    土地面積
    155.88㎡(47.15坪)
    小学校
    行田市立桜ヶ丘小学校(約750m)
    中学校
    行田市立長野中学校(約710m)
    • 駅徒歩5分以内
    • 小学校10分以内
    • スーパー近い
    • 都市ガス
    • 本下水

    【売主】☆充実の周辺環境!
    ◆土地47坪・都市ガス・本下水エリアの売地♪

    ≫物件のポイント
    ■土地47坪の角地
    ■分譲地内にゴミ集積所あり
    ■都市ガス・本下水
    ■充実した周辺環境♪

    資料請求・ご見学の予約など、お気軽にお問い合わせください!

    • 【区画図】
    • 土地
    • 仲介手数料無料
    • 見学可
    • 当社限定
    ハートのアイコン 行田市向町①号地

    730万円

    月々の支払い
    1.8万円/月 クエスチョンマーク730万円を金利0.720%で40年借入れした場合の試算。
    土地面積
    228.65㎡(69.16坪)
    小学校
    行田市立南小学校(約770m)
    中学校
    行田市立行田中学校(約1,070m)
    • 駅徒歩14分以内
    • 小学校10分以内
    • スーパー近い
    • 都市ガス
    • 本下水

    ☆~ 徒歩・車・電車でも暮らしやすい利便性のある立地♪~☆
    <行田市向町2区画 ①号地>

    ≫物件のポイント
    □買い物便利な環境
    □徒歩・電車・バスでも暮らしやすい立地
    □小中学校徒歩圏内で通学も安心
    □都市ガス・本下水エリア

    ≫周辺環境
    □南小学校徒歩10分
    □コンビニ徒歩5分
    □ベルク徒歩6分
    □ドラッグストア徒歩7分
    □公園徒歩2分

    ◇資料請求・見学予約などお気軽にください!

    • 【区画図】
    • 土地
    • 仲介手数料無料
    • 見学可
    • 当社限定
    ハートのアイコン 行田市向町2号地

    730万円

    月々の支払い
    1.8万円/月 クエスチョンマーク730万円を金利0.720%で40年借入れした場合の試算。
    土地面積
    187.85㎡(56.82坪)
    小学校
    行田市立南小学校(約990m)
    中学校
    行田市立行田中学校(約1,200m)
    • 駅徒歩13分以内
    • スーパー近い
    • 都市ガス
    • 本下水

    ☆NEW☆土地56坪!
    ~お買い物に便利な分譲地~

    ◎行田市向町2号地◎

    ≫物件のポイント
    ■都市ガス・本下水
    ■土地 56坪
    ■整形地

    ≫生活環境
    ■最寄駅まで徒歩13分
    ■保育園まで徒歩6分
    ■スーパー徒歩7分
    ■ドラッグストア徒歩9分

    暮らしやすい周辺環境が魅力♪

    ◇資料請求・ご見学の予約などお気軽にお問い合わせください!

    • 【区画図】
    • 土地
    • 仲介手数料無料
    • 見学可
    • 当社限定
    ハートのアイコン 行田市向町3号地

    730万円

    月々の支払い
    1.8万円/月 クエスチョンマーク730万円を金利0.720%で40年借入れした場合の試算。
    土地面積
    187.92㎡(56.84坪)
    小学校
    行田市立南小学校(約1,010m)
    中学校
    行田市立行田中学校(約1,210m)
    • 駅徒歩13分以内
    • スーパー近い
    • 都市ガス
    • 本下水

    ☆NEW☆駅徒歩13分!
    ~暮らしに便利な立地~

    ◎行田市向町3号地◎

    ≫物件のポイント
    ■土地 56坪
    ■都市ガス・本下水
    ■お家を建てても駐車スペースを確保できます

    ≫周辺環境
    ■スーパー徒歩7分
    ■コンビニ徒歩3分
    ■ドラッグストア徒歩9分
    ■医療機関まで徒歩7分

    \徒歩圏内に生活に必要な施設が充実!/

    ◇資料請求・ご見学の予約などお気軽にお問い合わせください!

    • 【間取り】
    • 【区画図】
    • 土地
    • 仲介手数料無料
    • 見学可
    • 当社限定
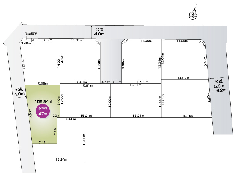
    ハートのアイコン 行田市桜町3丁目8号地

    780万円

    月々の支払い
    1.9万円/月 クエスチョンマーク780万円を金利0.720%で40年借入れした場合の試算。
    土地面積
    156.84㎡(47.44坪)
    小学校
    行田市立桜ヶ丘小学校(約770m)
    中学校
    行田市立長野中学校(約730m)
    • 駅徒歩5分以内
    • 小学校10分以内
    • スーパー近い
    • 都市ガス
    • 本下水

    【売主】☆生活に便利な好立地!
    ◆都市ガス・本下水エリア◆行田市桜町3丁目8号地♪

    ≫物件のポイント
    ■土地47坪
    ■分譲地内にゴミ集積所あり
    ■都市ガス・本下水

    ≫生活環境
    ■小学校徒歩10分
    ■駅徒歩5分
    ■スーパー徒歩4分
    ■総合病院徒歩5分

    ◇資料請求・ご見学の予約など、お気軽にお問い合わせください!

    • 【区画図】
    • 土地
    • 仲介手数料無料
    • 見学可
    • 当社限定
    ハートのアイコン 行田市大字持田1号地

    780万円

    月々の支払い
    1.9万円/月 クエスチョンマーク780万円を金利0.720%で40年借入れした場合の試算。
    土地面積
    183.58㎡(55.53坪)
    小学校
    行田市立西小学校(約630m)
    中学校
    行田市立忍中学校(約1,330m)
    • 駅徒歩12分以内
    • 小学校10分以内
    • スーパー近い
    • 都市ガス
    • 本下水

    ☆NEW☆土地55坪
    ~買い物に便利な立地~

    行田市大字持田1号地

    ≫ポイント
    ◇土地の広さ55坪
    ◇都市ガス・本下水
    ◇接道道路幅 6m以上

    ≫周辺環境
    ◇小学校徒歩8分
    ◇クスリのアオキ徒歩2分
    ◇ベイシア徒歩8分
    ◇カインズ徒歩6分

    暮らしやすい環境が整っております。

    ◇資料請求・現地のご見学など、お気軽にお問い合わせください!

    • 【区画図】
    • 土地
    • 仲介手数料無料
    • 見学可
    • 当社限定
    ハートのアイコン 行田市大字持田2号地

    780万円

    月々の支払い
    1.9万円/月 クエスチョンマーク780万円を金利0.720%で40年借入れした場合の試算。
    土地面積
    186.90㎡(56.53坪)
    小学校
    行田市立西小学校(約640m)
    中学校
    行田市立忍中学校(約1,320m)
    • 駅徒歩12分以内
    • 小学校10分以内
    • スーパー近い
    • 都市ガス
    • 本下水

    ☆NEW☆土地56坪
    ~保育施設充実エリア~

    行田市大字持田2号地

    ≫ポイント
    ◇土地の広さ56坪
    ◇都市ガス・本下水
    ◇接道道路幅 6m以上
    ◇分譲地内にゴミ集積所あり

    ≫周辺環境
    ◇小学校徒歩8分
    ◇クスリのアオキ徒歩3分
    ◇ベイシア徒歩8分
    ◇白鳩保育園徒歩9分

    \子育てしやすい施設が多いエリアの分譲地/

    ◇資料請求・現地のご見学など、お気軽にお問い合わせください!

    • 【区画図】
    • 土地
    • 仲介手数料無料
    • 見学可
    • 当社限定
    ハートのアイコン 行田市向町1号地

    780万円

    月々の支払い
    1.9万円/月 クエスチョンマーク780万円を金利0.720%で40年借入れした場合の試算。
    土地面積
    184.10㎡(55.68坪)
    小学校
    行田市立南小学校(約970m)
    中学校
    行田市立行田中学校(約1,180m)
    • 駅徒歩13分以内
    • スーパー近い
    • 都市ガス
    • 本下水

    ☆NEW☆土地55坪!
    ~子育てに便利な施設が充実♪~

    ◎行田市向町1号地◎

    ≫物件のポイント
    ■都市ガス・本下水
    ■土地 55坪

    ≫生活環境
    ■最寄駅まで徒歩13分
    ■幼稚園まで徒歩6分
    ■コンビニ徒歩4分
    ■公園まで徒歩3分

    ◇資料請求・ご見学の予約などお気軽にお問い合わせください!

    • 【間取り】
    • 【区画図】
    • 土地
    • 仲介手数料無料
    • 見学可
    • 当社限定
    ハートのアイコン 行田市桜町3丁目4号地

    830万円

    月々の支払い
    2万円/月 クエスチョンマーク830万円を金利0.720%で40年借入れした場合の試算。
    土地面積
    160.81㎡(48.64坪)
    小学校
    行田市立桜ヶ丘小学校(約800m)
    中学校
    行田市立長野中学校(約760m)
    • 駅徒歩6分以内
    • 小学校10分以内
    • スーパー近い
    • 都市ガス
    • 本下水

    【売主】☆買い物に便利な土地!
    ◆行田市桜町3丁目4号地◆

    ≫物件のポイント
    ■土地48坪・車2台駐車可・角地
    ■分譲地内にゴミ集積所あり
    ■都市ガス・本下水エリア
    ■スーパー・コンビニ徒歩2分♪

    ◇資料請求・ご見学の予約など、お気軽にお問い合わせください!

    • 【区画図】
    • 土地
    • 仲介手数料無料
    • 見学可
    • 当社限定
    ハートのアイコン 行田市大字持田3号地

    830万円

    月々の支払い
    2万円/月 クエスチョンマーク830万円を金利0.720%で40年借入れした場合の試算。
    土地面積
    186.13㎡(56.30坪)
    小学校
    行田市立西小学校(約650m)
    中学校
    行田市立忍中学校(約1,310m)
    • 駅徒歩12分以内
    • 小学校10分以内
    • スーパー近い
    • 都市ガス
    • 本下水

    ☆NEW☆都市ガス・本下水
    ~暮らしやすいまち大字持田~

    ≫物件のポイント
    ◇都市ガス・本下水
    ◇土地面積 56坪
    ◇分譲地内にゴミ集積所あり

    ≫周辺環境
    ◇最寄駅まで徒歩12分
    ◇保育園まで徒歩11分
    ◇クスリのアオキ徒歩3分
    ◇ベイシアまで徒歩8分

    ◎資料請求・現地のご見学など、お気軽にお問い合わせください!

    • 【区画図】
    • 土地
    • 仲介手数料無料
    • 見学可
    • 当社限定
    ハートのアイコン 行田市大字持田6号地

    880万円

    月々の支払い
    2.1万円/月 クエスチョンマーク880万円を金利0.720%で40年借入れした場合の試算。
    土地面積
    222.65㎡(67.35坪)
    小学校
    行田市立西小学校(約670m)
    中学校
    行田市立忍中学校(約1,350m)
    • 駅徒歩12分以内
    • 小学校10分以内
    • スーパー近い
    • 都市ガス
    • 本下水

    ☆NEW☆都市ガス・本下水
    ~子育てに便利な住環境~

    ≫物件のポイント
    ◇都市ガス・本下水
    ◇土地面積 67坪
    ◇主要道路に出やすい立地

    ≫周辺環境
    ◇小学校徒歩9分
    ◇保育園徒歩11分
    ◇ドラッグストア徒歩3分
    ◇スーパー徒歩7分
    ◇総合病院徒歩12分

    保育施設やスーパー
    医療施設が充実のエリア♪

    資料請求・現地のご見学など、お気軽にお問い合わせください!

    • 【区画図】
    • 土地
    • 仲介手数料無料
    • 見学可
    • 当社限定
    ハートのアイコン 行田市大字持田5号地

    880万円

    月々の支払い
    2.1万円/月 クエスチョンマーク880万円を金利0.720%で40年借入れした場合の試算。
    土地面積
    214.90㎡(65.00坪)
    小学校
    行田市立西小学校(約660m)
    中学校
    行田市立忍中学校(約1,340m)
    • 駅徒歩12分以内
    • 小学校10分以内
    • スーパー近い
    • 都市ガス
    • 本下水

    ☆NEW☆土地65坪!
    ~便利な生活環境~

    ≫物件のポイント
    ◇都市ガス・本下水
    ◇土地面積 65坪
    ◇主要道路に出やすい立地

    ≫周辺環境
    ◇駅まで徒歩12分
    ◇小学校徒歩9分
    ◇総合病院徒歩11分
    ◇ドラッグストア徒歩3分
    ◇ホームセンター徒歩5分
    ◇スーパー徒歩7分
    ◇保育園徒歩11分
    ◇総合病院徒歩11分

    資料請求・現地のご見学など、お気軽にお問い合わせください!

    • 【区画図】
    • 土地
    • 仲介手数料無料
    • 見学可
    • 当社限定
    ハートのアイコン 行田市向町②号地

    880万円

    月々の支払い
    2.1万円/月 クエスチョンマーク880万円を金利0.720%で40年借入れした場合の試算。
    土地面積
    183.78㎡(55.59坪)
    小学校
    行田市立南小学校(約760m)
    中学校
    行田市立行田中学校(約1,060m)
    • 駅徒歩14分以内
    • 小学校10分以内
    • スーパー近い
    • 都市ガス
    • 本下水

    \ 駅まで徒歩14分!土地55坪・自由設計で建築可能♪/
    ☆・。行田市向町2区画 ②号地 ☆・。

    ≫物件のポイント
    □買い物便利な環境
    □保育園や学校が徒歩圏内!
    □経済的な都市ガス・本下水
    □閑静な住宅街
    □JR線・秩父鉄道利用エリア

    ≫生活環境
    □南小学校 徒歩10分
    □保育園 徒歩8分
    □コンビニ 徒歩5分
    □ベルク 徒歩6分

    ◇資料請求・見学予約などお気軽にお問合せください!

    • 【外観】
    • 【間取り】
    • 【区画図】
    • 土地
    • 仲介手数料無料
    • 見学可
    • 当社限定
    ハートのアイコン 行田市持田2丁目12号地

    930万円

    月々の支払い
    2.2万円/月 クエスチョンマーク930万円を金利0.720%で40年借入れした場合の試算。
    土地面積
    162.29㎡(49.09坪)
    小学校
    行田市立西小学校(約650m)
    中学校
    行田市立西中学校(約960m)
    • 駅徒歩11分以内
    • 小学校10分以内
    • スーパー近い
    • 都市ガス
    • 本下水

    *行田市持田2丁目12号地*

    ・◆物件のポイント◆・
    □土地49坪
    ■人気の本下水
    □分譲地内にゴミ集積所
    ■キレイな整形地

    ・◆生活環境◆・
    □最寄駅徒歩11分
    ■小学校徒歩9分
    □スーパー徒歩9分
    ■ドン・キホーテ徒歩13分

    お好きな間取りで建築可能♪

    ◇土地探し相談や資金相談、住宅ローン相談会も開催中!
    ◇資料請求だけ・現地を見てみるだけOK!
    ◇是非お問い合わせください!

    • 【区画図】
    • 土地
    • 仲介手数料無料
    • 見学可
    • 当社限定
    ハートのアイコン 行田市大字持田4号地

    1,030万円

    月々の支払い
    2.5万円/月 クエスチョンマーク1,030万円を金利0.720%で40年借入れした場合の試算。
    土地面積
    199.45㎡(60.33坪)
    小学校
    行田市立西小学校(約670m)
    中学校
    行田市立忍中学校(約1,340m)
    • 駅徒歩12分以内
    • 小学校10分以内
    • スーパー近い
    • 都市ガス
    • 本下水

    ☆NEW☆駅まで徒歩12分
    ~通勤・通学に便利な立地~

    ≫物件のポイント
    ◇都市ガス・本下水
    ◇土地面積 60坪
    ◇主要道路に出やすい立地
    ◇熊谷・鴻巣・羽生方面へのアクセス良好

    ≫周辺環境
    ◇駅まで徒歩12分
    ◇小学校徒歩9分
    ◇総合病院徒歩11分
    ◇ウニクス車で10分

    17号バイパスと県道に出やすく
    暮らしやすいエリア♪

    資料請求・現地のご見学など、お気軽にお問い合わせください!

    • 【外観】
    • 【間取り】
    • 【区画図】
    • 土地
    • 仲介手数料無料
    • 見学可
    • 当社限定
    ハートのアイコン 行田市大字持田10号地

    1,100万円

    月々の支払い
    2.6万円/月 クエスチョンマーク1,100万円を金利0.720%で40年借入れした場合の試算。
    土地面積
    171.31㎡(51.82坪)
    小学校
    行田市立西小学校(約1,100m)
    中学校
    行田市立西中学校(約1,290m)
    • 南道路
    • 都市ガス
    • 本下水

    行田市大字持田砂原 
    10号地《限定1区画》

    ◆・◆・物件のポイント・◆・◆
    □全10区画の分譲地
    □南西角地
    □南道路のため日当たり良好
    □お家を建てても駐車スペース確保できます

    ◆・◆・生活環境・◆・◆
    □主要道路に出やすい立地
    □本下水エリア
    □周辺には商業施設や保育施設が充実!
    □ショッピングモール車で10分

    資料請求だけ・現地を見てみるだけOK!

    是非お問い合わせください!

    • 【外観】
    • 【間取り】
    • 【区画図】
    • 土地
    • 仲介手数料無料
    • 見学可
    • 当社限定
    ハートのアイコン 行田市棚田町3丁目5号地

    1,180万円

    月々の支払い
    2.8万円/月 クエスチョンマーク1,180万円を金利0.720%で40年借入れした場合の試算。
    土地面積
    168.14㎡(50.86坪)
    小学校
    行田市立西小学校(約570m)
    中学校
    行田市立西中学校(約600m)
    • 駅徒歩18分以内
    • 小学校10分以内
    • 都市ガス
    • 本下水
    • 自由設計対応

    ☆売主☆【都市ガス・本下水】
    ~行田市棚田町3丁目4号地のご紹介♪~

    ◎物件のポイント◎
    ■都市ガス・本下水
    ■学校が近く通学に便利
    ■お買い物スポットが充実!

    ◎生活環境◎
    ■小学校徒歩8分
    ■コンビニ徒歩6分
    ■ドラッグストア徒歩8分
    ■総合病院徒歩13分
    ■スーパー徒歩14分
    ■公園徒歩4分

    今ならお好きな間取りで建築できます♪

    ◇資料請求・見学予約などお気軽にお問合せください!◇

    • 【間取り】
    • 土地
    ハートのアイコン 行田市大字渡柳

    200万円

    月々の支払い
    0.5万円/月 クエスチョンマーク200万円を金利0.720%で40年借入れした場合の試算。
    土地面積
    400.00㎡(120.99坪)
    小学校
    行田市立埼玉小学校(約1,500m)
    中学校
    行田市立埼玉中学校(約1,900m)

    ☆静かな環境でゆったり☆
    ~行田市渡柳 1区画~

    ーー・物件のポイント・ーー
    ■敷地面積 約120坪以上!
    ■コンビニまで徒歩9分!
    ■近くには散歩するのにピッタリな広い古墳公園がございます。
    ■実際に登れる丸墓山古墳の見晴らし◎

    どんな間取りの家が建てられる?実際に現地の雰囲気が見てみたい!など、

    ぜひ、お問い合わせください。

    お待ちしております。

    • 【区画図】
    • 【外観】
    • 土地
    • 建築条件なし
    • 見学可
    ハートのアイコン 行田市大字若小玉1区画

    860万円

    月々の支払い
    2.1万円/月 クエスチョンマーク860万円を金利0.720%で40年借入れした場合の試算。
    土地面積
    838.20㎡(253.55坪)
    小学校
    行田市立太田小学校(約2,190m)
    中学校
    行田市立太田中学校(約2,870m)
    • 南道路
    • 駅徒歩17分以内
    • スーパー近い

    \土地253坪・スーパー徒歩8分・公園徒歩7分・。/

    ≫物件のポイント
    ■253坪の広い敷地
    ■日当たりのよい南向き
    ■浄化槽利用エリア

    ≫周辺環境
    ■行田幼稚園徒歩7分
    ■公園徒歩7分
    ■スーパー徒歩8分
    ■総合病院徒歩13分

    ◇建築条件なしの売地です♪お気軽にお問い合わせください!◇

    • 【区画図】
    • 土地
    ハートのアイコン 行田市長野1丁目

    880万円

    月々の支払い
    2.1万円/月 クエスチョンマーク880万円を金利0.720%で40年借入れした場合の試算。
    土地面積
    310.74㎡(93.99坪)
    小学校
    行田市立東小学校(約990m)
    中学校
    行田市立長野中学校(約870m)
    • 駅徒歩7分以内
    • スーパー近い
    • 本下水

    ☆立地をお考えの方におすすめ☆
    ~行田市長野1丁目 1区画~

    ーー・物件のポイント・ーー
    ■敷地 約93坪!
    ■駅まで徒歩7分の好立地
    ■保育園まで徒歩2分
    ■スーパーまで徒歩3分
    ■県道128号に出やすく、熊谷・羽生方面へのアクセス良好
    ■車通りの少ない閑静な住宅街

    奥行きのある売地です。お好きなプランで建築可能。

    資料請求だけ・話を聞いてみるだけOK(^^♪
    ぜひ、お問い合わせください。

    • 【区画図】
    • 土地
    • 見学可
    ハートのアイコン 行田市大字堤根

    960万円

    月々の支払い
    2.3万円/月 クエスチョンマーク960万円を金利0.720%で40年借入れした場合の試算。
    土地面積
    739.00㎡(223.54坪)
    小学校
    -
    中学校
    行田市立行田中学校(約2,670m)

    ☆100坪以上の土地をお探しの方に!
    ~行田市大字堤根960万円~

    ≫物件のポイント
    ■土地223坪(公簿)※実測189坪
    ■分割購入可(①号地②号地 各480万円)
    ■JR高崎線利用エリア
    ■主要道路に出やすい立地

    ◇資料請求・見学のご予約などお気軽にお問い合わせください。

    • 【外観】
    • 【間取り】
    • 土地
    • 建築条件なし
    • 見学可
    ハートのアイコン 行田市谷郷1丁目1区画

    380万円

    月々の支払い
    0.9万円/月 クエスチョンマーク380万円を金利0.720%で40年借入れした場合の試算。
    土地面積
    143.76㎡(43.48坪)
    小学校
    行田市立北小学校(約1,510m)
    中学校
    行田市立長野中学校(約650m)
    • 駅徒歩8分以内
    • スーパー近い
    • 都市ガス
    • 本下水

    【売地】\価格更新!/
    土地43坪・角地・スーパー徒歩7分

    ◇建築条件無なし◇

    ~行田市谷郷1丁目~

    ■土地面積 約43坪
    ■日当たり良好!!
    ■お好きな間取りで建築可能♪
    ■前面道路 4m以上の角地

    ~生活環境~
    ■小学校徒歩19分
    ■中学校徒歩9分
    ■スーパー徒歩7分
    ■コンビニ徒歩8分
    ■ドラッグストア徒歩6分
    ■周辺には保育施設も充実!

    ◇是非お問い合わせください!!◇

トップへ戻る