公式ホーム > 物件トップ > 土地 > 熊谷市 > 熊谷市上恩田3号地【全5区画】≪全区画90坪超≫

熊谷市上恩田3号地【全5区画】≪全区画90坪超≫

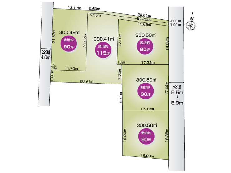
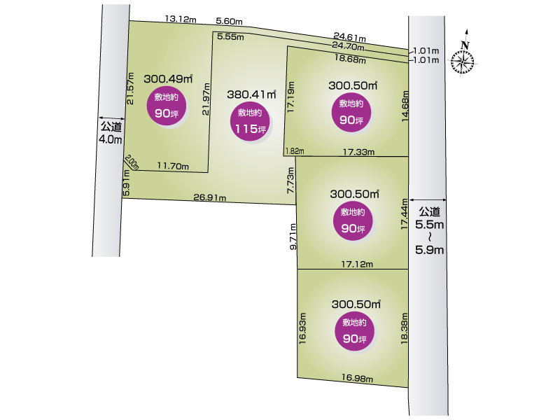
【3号地】300.50㎡(90.90坪)
【全体区画図】

間取りと建物配置は
快適な暮らしの重要ポイントです。

  • 【3号地】300.50㎡(90.90坪)

    【3号地】300.50㎡(90.90坪)

  • 【全体区画図】

    【全体区画図】

周辺環境

カーナビ住所:
熊谷市上恩田448付近

この物件の⽣活環境をチェック

ご家族様の⽣活シーンにあてはめて、新しい暮らしを想像してみてください

  • 熊谷市立市田小学校の画像

    熊谷市立市田小学校
    - 約1,890m

  • 熊谷市立大里中学校の画像

    熊谷市立大里中学校
    - 約3,170m

  • こどもの家保育園の画像

    こどもの家保育園
    - 約910m

  • ファミリーマート 熊谷村岡店の画像

    ファミリーマート 熊谷村岡店
    - 約1,070m

  • 小林医院の画像

    小林医院
    - 約1,040m

  • 万吉弥太郎公園の画像

    万吉弥太郎公園
    - 約1,700m

  • ヤオヨシ 江南店の画像

    ヤオヨシ 江南店
    - 約2,510m

近くのお店・施設

熊谷市立市田小学校 約1,890m/24分

熊谷市立大里中学校 約3,170m/40分

こどもの家保育園 約910m/12分

ファミリーマート 熊谷村岡店 約1,070m/14分

小林医院 約1,040m/13分

万吉弥太郎公園 約1,700m/22分

ヤオヨシ 江南店 約2,510m/32分

物件概要

所在地 埼玉県熊谷市上恩田
交通
  • 高崎線「熊谷」駅 バス22分 「南村岡」 停歩5分
  • 秩父鉄道「上熊谷」駅 徒歩39分
  • 高崎線「行田」駅 徒歩81分
販売価格 580万円
総区画数 5区画 販売区画数 -
物件種別 売地 取引態様 売主
用途地域 無指定 都市計画 市街化調整区域
地目 宅地 建築条件
土地権利 所有権 土地面積(坪数) 300.50㎡(90.9坪)
接道状況 一方(東 公道 5.5m 間口 14.6m)
建蔽率 60% 容積率 200%
開発面積 - 造成工事完了年月 -
開発許可番号 指令熊開審第25290510号 現況 更地
セットバック 物件番号 96552087
管理コード 2439303 取引条件の有効期限 2025年12月22日
情報更新日 2025年12月08日 次回更新予定日 2025年12月22日
その他の法令上の制限 景観法
設備
  • プロパンガス
  • 公営水道
  • 浄化槽排水
備考 ※境界ブロック設置工事、水道引込工事、造成工事売主負担
※34条11号区域(どなたでも建築可能)
広告主 株式会社ファイブイズホーム
埼玉県行田市持田3丁目2-17
TEL:048-553-2272
宅地建物取引業免許:国土交通大臣(2)第8822号
加盟団体(公社)埼玉県宅地建物取引業協会
(一社)群馬県宅地建物取引業協会
(公社)栃木県宅地建物取引業協会
(公社)茨城県宅地建物取引業協会
(公社)首都圏不動産公正取引協議会
(一社)兵庫県宅地建物取引業協会

所要時間は約1分!簡単入力!

この物件にお問い合わせ(無料)

今スグ見学予約でプレゼントGET!今なら3,000円分のギフトカードプレゼント!

0/0
必須項目完了

確認画面へ
お進み下さい

0/0
必須項目完了

確認画面へ
お進み下さい

お問い合わせ内容

必須

氏名

必須

メールアドレス

必須

電話番号

必須

郵便番号

都道府県

必須

市町村番地

必須

ご見学希望日

必須

ご見学希望時間

必須

その他、ご要望などご自由にご記入ください

<個人情報の取り扱いについて>
利用規約及びプライバシーポリシーを必ずお読みいただき同意いただけた場合は、確認画面へお進みください。
<見学予約特典・ギフトカードプレゼントについて>
ご来店時に予約完了メールをスタッフまでご提示ください。
2回目のお打ち合わせ時に、ご指定のギフトカードをプレゼントいたします。
※当キャンペーンは、当社に初めてご来場いただくご家族様1回のみ有効。住宅の建築・購入をご検討の方に限ります。
※ご予約前に当社へお問い合わせ、来場、ご契約されていた場合、当キャンペーンの対象外となります。

未入力項目があります

  • 上記内容と現況が異なる場合には現況優先といたします。
  • 未完成建物の外観写真は類似する建物であり、実際のものとは異なります。
  • 完成予測図、イメージパースは図面を基に書き起こしたもので実際のものと若干異なる場合がございます。
  • 写真は一部CG加工を施している場合がございます。
  • 掲載写真内の家具調度品は価格に含まれません。
  • 設備及び仕様写真は参考イメージです。実際のものと異なる場合がございます。
  • 徒歩所要時間は1分=80mとして換算したもので、距離は地図上の換算によるものです。
  • 地図は物件付近を表すものであり、実際の物件所在地とは異なる場合がございます。
  • 建築条件付売地とは、土地売買契約締結後3ヶ月以内に売主、または代理と建築請負契約をしていただくことを条件に販売いたします。この期間内に建築請負契約が成立しなかった場合は、土地売買契約は白紙解約になり、受領した手付金等の土地代金は無利息にて全てお返しいたします。
  • 情報更新日から現在までの間に売却済となってしまった場合はご了承ください。

土地

熊谷市上恩田3号地【全5区画】≪全区画90坪超≫

580万円

月々の支払い 約1.4万円/月 580万円を金利0.720%で40年借入れした場合の試算。

支払いシミュレーション

借入金額
返済期間
金利
ボーナス時の増額(1回分)
頭金
毎月の返済額
  • ※元利均等方式 金利5.00%までです。
  • ※返済年数5~50年まで入力できます。
  • ※ボーナスは年2回で計算しています。1,000万円まで入力できます。
  • ※物件購入時、その他諸費用が発生する場合がございます。
  • 仲介手数料無料
  • 見学可
  • 建物プラン例あり
  • 自由設計対応

≪全5区画♪土地90坪超≫
◎市田小まで徒歩24分
◎ファミリーマートまで徒歩14分

■自由設計可能
■お好きな間取りでマイホームを建てられます
■フルオーダー、セミオーダー承っております
■間取り相談会開催中
■住宅ローンが不安な方!お気軽にご相談ください。

ファイブイズホームではあなたの頼れる不動産探しのパートナーになれるよう、不動産情報を豊富に取り扱っております。ぜひご検討ください。

土地面積 300.50㎡(90.9坪)
小学校 熊谷市立市田小学校(約1,890m)
中学校 熊谷市立大里中学校(約3,170m)

通話無料 ファイブイズホーム 熊谷新島店

0120-347-221

営業時間 10:00~19:00(火・水定休)

トップへ戻る