公式ホーム > 物件トップ > 土地 > 伊勢崎市 > 伊勢崎市太田町11号地

伊勢崎市太田町11号地

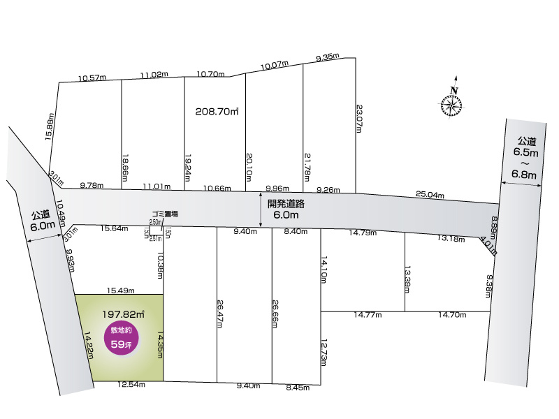
【伊勢崎市太田町12区画11号地 区画図】
【伊勢崎市太田町12区画】

間取りと建物配置は
快適な暮らしの重要ポイントです。

  • 【伊勢崎市太田町12区画11号地 区画図】

    【伊勢崎市太田町12区画11号地 区画図】

物件の写真

周辺環境

カーナビ住所:
カーナビ用検索住所「伊勢崎市太田町746」付近

この物件の⽣活環境をチェック

ご家族様の⽣活シーンにあてはめて、新しい暮らしを想像してみてください

  • 安堀太田町クリニックの画像

    安堀太田町クリニック
    - 約470m

  • 伊勢崎市立三郷小学校の画像

    伊勢崎市立三郷小学校
    - 約1,800m

  • 伊勢崎市立第三中学校の画像

    伊勢崎市立第三中学校
    - 約1,720m

  • ベイシアスーパーマーケット 伊勢崎駅前店の画像

    ベイシアスーパーマーケット 伊勢崎駅前店
    - 約590m

  • 伊勢崎の画像

    伊勢崎
    - 約720m

  • 伊勢崎あすか幼稚舎の画像

    伊勢崎あすか幼稚舎
    - 約2,150m

  • セブンイレブン 伊勢崎安堀町店の画像

    セブンイレブン 伊勢崎安堀町店
    - 約550m

  • クスリのアオキ 寿店の画像

    クスリのアオキ 寿店
    - 約1,100m

近くのお店・施設

安堀太田町クリニック 約470m/6分

伊勢崎市立三郷小学校 約1,800m/23分

伊勢崎市立第三中学校 約1,720m/22分

ベイシアスーパーマーケット 伊勢崎駅前店 約590m/8分

伊勢崎 約720m/9分

伊勢崎あすか幼稚舎 約2,150m/27分

セブンイレブン 伊勢崎安堀町店 約550m/7分

クスリのアオキ 寿店 約1,100m/14分

物件概要

所在地 群馬県伊勢崎市太田町
交通
  • 両毛線「伊勢崎」駅 徒歩9分
  • 東武伊勢崎線「新伊勢崎」駅 徒歩27分
販売価格 980万円
総区画数 1区画 販売区画数 1区画
物件種別 売地 取引態様 売主
用途地域 第一種中高層住居専用 都市計画 市街化区域
地目 田 / 畑 建築条件
土地権利 所有権 土地面積(坪数) 197.82㎡(59.84坪)
接道状況 一方(西 公道 6.0m 間口 14.2m)
建蔽率 60% 容積率 200%
開発面積 - 造成工事完了年月 2026年03月
開発許可番号 - 現況 更地
セットバック 要 20.36㎡ 物件番号 99805166
管理コード 2522211 取引条件の有効期限 2026年05月25日
情報更新日 2026年05月11日 次回更新予定日 2026年05月25日
その他の法令上の制限 景観法/農地法届出要/宅地造成及び特定盛土等規制法/都市再生特別地区
設備
  • 都市ガス
  • 公営水道
  • 浄化槽排水
備考 こだわりで選びたい方におすすめ。伊勢崎市エリアで住まいをお探しなら「伊勢崎市太田町全12区画11号地」。徒歩23分の場所に伊勢崎市立三郷小学校があります。伊勢崎市にある両毛線伊勢崎周辺で土地を手に入れませんか。伊勢崎市の土地に関する事なら、ファイブイズホームまでお問い合わせくださいませ。
広告主 株式会社ファイブイズホーム
埼玉県行田市持田3丁目2-17
TEL:048-550-1600
宅地建物取引業免許:国土交通大臣 (3) 第8822号
加盟団体
(公社)首都圏不動産公正取引協議会
(公社)埼玉県宅地建物取引業協会
(一社)群馬県宅地建物取引業協会
(公社)栃木県宅地建物取引業協会
(公社)茨城県宅地建物取引業協会
(一社)兵庫県宅地建物取引業協会
(一社)大阪府宅地建物取引業協会

オープンハウス情報

開催
日時

2025年12月8日 ~ 2026年3月31日
毎週土日祝  

※事前に必ずお問い合わせください

カーナビ用検索住所「伊勢崎市太田町746」付近
※現地詳細はお気軽に伊勢崎店へお尋ねください。

【伊勢崎韮塚店】
住所:伊勢崎市韮塚町1180-3(住宅展示場)

◆ご案内方法
担当がご自宅までの送迎や最寄駅までの送迎も行います。
又、弊社までご来店して頂きご案内も可能です。
お気軽にお車でもご来店下さい。

◆ご案内ご予約手順
弊社までご連絡を事前に頂き、お問い合わせ頂いた物件資料も含め
住宅探しの条件をお教えくだされば併せて条件に合う住宅資料をお持ちいたします。

◆その他、各種ご相談もお気軽にご相談下さい。
お客様にとって、一番最適な資金計画をご提案させて頂きます。
住宅ローンのご相談、税金関係もお任せください。
金額のご相談等も何なりとお申し付け下さい。

お問い合わせ先は【伊勢崎韮塚店:0800-8880-546】
月・木・金・土・日 AM10:00~PM7:30

所要時間は約1分!簡単入力!

この物件にお問い合わせ(無料)

今スグ見学予約でプレゼントGET!今なら3,000円分のギフトカードプレゼント!

0/0
必須項目完了

確認画面へ
お進み下さい

0/0
必須項目完了

確認画面へ
お進み下さい

お問い合わせ内容

必須

氏名

必須

メールアドレス

必須

電話番号

必須

郵便番号

都道府県

必須

市町村番地

必須

ご見学希望日

必須

ご見学希望時間

必須

その他、ご要望などご自由にご記入ください

<個人情報の取り扱いについて>
利用規約及びプライバシーポリシーを必ずお読みいただき同意いただけた場合は、確認画面へお進みください。
<見学予約特典・ギフトカードプレゼントについて>
ご来店時に予約完了メールをスタッフまでご提示ください。
2回目のお打ち合わせ時に、ご指定のギフトカードをプレゼントいたします。
※当キャンペーンは、当社に初めてご来場いただくご家族様1回のみ有効。住宅の建築・購入をご検討の方に限ります。
※ご予約前に当社へお問い合わせ、来場、ご契約されていた場合、当キャンペーンの対象外となります。

未入力項目があります

  • 上記内容と現況が異なる場合には現況優先といたします。
  • 未完成建物の外観写真は類似する建物であり、実際のものとは異なります。
  • 完成予測図、イメージパースは図面を基に書き起こしたもので実際のものと若干異なる場合がございます。
  • 写真は一部CG加工を施している場合がございます。
  • 掲載写真内の家具調度品は価格に含まれません。
  • 設備及び仕様写真は参考イメージです。実際のものと異なる場合がございます。
  • 徒歩所要時間は1分=80mとして換算したもので、距離は地図上の換算によるものです。
  • 地図は物件付近を表すものであり、実際の物件所在地とは異なる場合がございます。
  • 建築条件付売地とは、土地売買契約締結後3ヶ月以内に売主、または代理と建築請負契約をしていただくことを条件に販売いたします。この期間内に建築請負契約が成立しなかった場合は、土地売買契約は白紙解約になり、受領した手付金等の土地代金は無利息にて全てお返しいたします。
  • 情報更新日から現在までの間に売却済となってしまった場合はご了承ください。

土地

伊勢崎市太田町11号地

980万円

月々の支払い 約2.5万円/月 980万円を金利1.000%で40年借入れした場合の試算。

支払いシミュレーション

借入金額
返済期間
金利
ボーナス時の増額(1回分)
頭金
毎月の返済額
  • ※元利均等方式 金利5.00%までです。
  • ※返済年数5~50年まで入力できます。
  • ※ボーナスは年2回で計算しています。1,000万円まで入力できます。
  • ※物件購入時、その他諸費用が発生する場合がございます。
  • 仲介手数料無料
  • 見学可
  • 駅徒歩9分以内
  • 都市ガス
  • 建物プラン例あり
  • 自由設計対応

☆NEW☆全12区画の大型分譲地!伊勢崎駅徒歩9分!

~Point~
◇伊勢崎駅・スーパー・コンビニ徒歩10分圏内の好立地分譲地
◆全区画57坪以上
◇都市ガスエリア
◆三郷小・第三中エリア

通話無料 ファイブイズホーム 伊勢崎韮塚店

0800-8880-546

営業時間 10:00~19:00(火・水定休)

トップへ戻る