公式ホーム > 物件トップ > 土地 > つくば市 > つくば市玉取12号地

つくば市玉取12号地

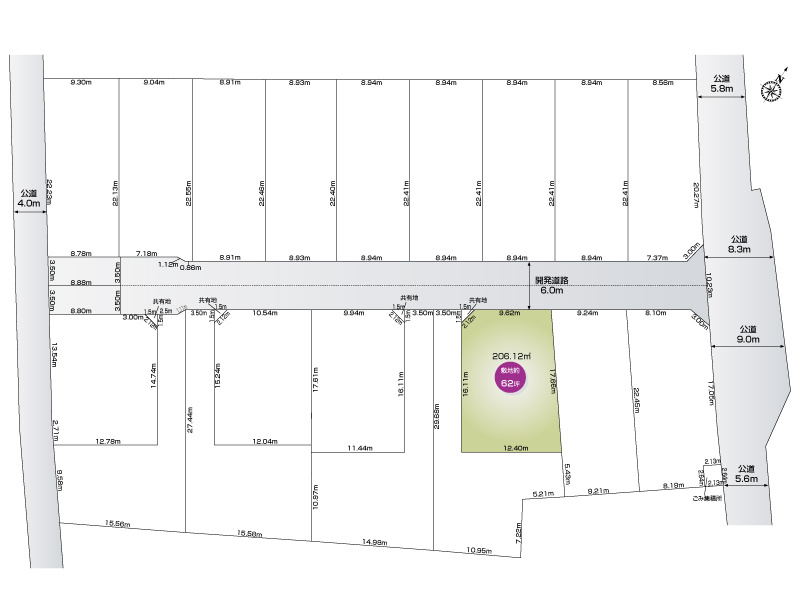
【区画図】つくば市玉取 12号地
【土地図】つくば市玉取 12号地

間取りと建物配置は
快適な暮らしの重要ポイントです。

周辺環境

カーナビ住所:
つくば市玉取2358-1 付近

この物件の⽣活環境をチェック

ご家族様の⽣活シーンにあてはめて、新しい暮らしを想像してみてください

  • 大曽根小学校の画像

    大曽根小学校
    - 約950m

  • 大穂中学校の画像

    大穂中学校
    - 約3,650m

  • 花畑保育園の画像

    花畑保育園
    - 約1,070m

  • つくば市立大穂保育所の画像

    つくば市立大穂保育所
    - 約1,520m

  • 大穂幼稚園の画像

    大穂幼稚園
    - 約4,150m

  • 花畑近隣公園の画像

    花畑近隣公園
    - 約490m

  • ファミリーマート つくば花畑店の画像

    ファミリーマート つくば花畑店
    - 約700m

  • ウェルシア つくば大穂店の画像

    ウェルシア つくば大穂店
    - 約1,470m

  • カスミフードスクエア 大穂店の画像

    カスミフードスクエア 大穂店
    - 約1,720m

  • 常陽銀行 大穂支店の画像

    常陽銀行 大穂支店
    - 約1,470m

  • 大穂郵便局の画像

    大穂郵便局
    - 約1,510m

  • いちはら病院の画像

    いちはら病院
    - 約1,940m

  • ダイソー つくば筑穂店の画像

    ダイソー つくば筑穂店
    - 約1,370m

  • マクドナルド 408つくば大曽根店の画像

    マクドナルド 408つくば大曽根店
    - 約1,820m

  • ファッション市場サンキ つくば店の画像

    ファッション市場サンキ つくば店
    - 約1,870m

  • DCM つくば大穂店の画像

    DCM つくば大穂店
    - 約1,950m

  • セリア つくば筑穂店の画像

    セリア つくば筑穂店
    - 約1,970m

  • エニタイムフィットネス つくば筑穂店の画像

    エニタイムフィットネス つくば筑穂店
    - 約2,010m

  • カワチ薬局 大穂店の画像

    カワチ薬局 大穂店
    - 約2,190m

  • ファッションセンターしまむら 大穂店の画像

    ファッションセンターしまむら 大穂店
    - 約2,270m

近くのお店・施設

大曽根小学校 約950m/12分

大穂中学校 約3,650m/46分

花畑保育園 約1,070m/14分

つくば市立大穂保育所 約1,520m/19分

大穂幼稚園 約4,150m/52分

花畑近隣公園 約490m/7分

ファミリーマート つくば花畑店 約700m/9分

ウェルシア つくば大穂店 約1,470m/19分

カスミフードスクエア 大穂店 約1,720m/22分

常陽銀行 大穂支店 約1,470m/19分

大穂郵便局 約1,510m/19分

いちはら病院 約1,940m/25分

ダイソー つくば筑穂店 約1,370m/18分

マクドナルド 408つくば大曽根店 約1,820m/23分

ファッション市場サンキ つくば店 約1,870m/24分

DCM つくば大穂店 約1,950m/25分

セリア つくば筑穂店 約1,970m/25分

エニタイムフィットネス つくば筑穂店 約2,010m/26分

カワチ薬局 大穂店 約2,190m/28分

ファッションセンターしまむら 大穂店 約2,270m/29分

物件概要

所在地 茨城県つくば市玉取
交通
  • つくばエクスプレス「つくば」駅 徒歩77分車12分
  • つくばエクスプレス「研究学園」駅 徒歩96分車15分
販売価格 930万円
総区画数 19区画 販売区画数 19区画
物件種別 売地 取引態様 売主
用途地域 第一種住居/第一種低層住居専用 都市計画 市街化区域
地目 宅地 / 宅地 建築条件
土地権利 所有権 土地面積(坪数) 206.12㎡(62.35坪)
接道状況 一方(北西 公道 6.0m 間口 11.1m)
建蔽率 40% 容積率 80%
開発面積 4482.82㎡ 造成工事完了年月 2025年08月
開発許可番号 7つくば開指開許第181号 現況 更地
セットバック 物件番号 98926785
管理コード - 取引条件の有効期限 2026年01月23日
情報更新日 2026年01月09日 次回更新予定日 2026年01月23日
その他の法令上の制限 景観法
設備
  • プロパンガス
  • 公営水道
  • 公共下水
備考 つくばエクスプレスつくば駅周辺で土地をお探しなら、ファイブイズホームつくば店までお気軽にお問い合わせください。ご連絡お待ちしております。
広告主 株式会社ファイブイズホーム
埼玉県行田市持田3丁目2-17
TEL:048-553-2272
宅地建物取引業免許:国土交通大臣(2)第8822号
加盟団体(公社)埼玉県宅地建物取引業協会
(一社)群馬県宅地建物取引業協会
(公社)栃木県宅地建物取引業協会
(公社)茨城県宅地建物取引業協会
(公社)首都圏不動産公正取引協議会
(一社)兵庫県宅地建物取引業協会

オープンハウス情報

開催
日時

2025年11月8日 ~ 2026年12月27日
毎週土日  

※事前に必ずお問い合わせください

所要時間は約1分!簡単入力!

この物件にお問い合わせ(無料)

今スグ見学予約でプレゼントGET!今なら3,000円分のギフトカードプレゼント!

0/0
必須項目完了

確認画面へ
お進み下さい

0/0
必須項目完了

確認画面へ
お進み下さい

お問い合わせ内容

必須

氏名

必須

メールアドレス

必須

電話番号

必須

郵便番号

都道府県

必須

市町村番地

必須

ご見学希望日

必須

ご見学希望時間

必須

その他、ご要望などご自由にご記入ください

<個人情報の取り扱いについて>
利用規約及びプライバシーポリシーを必ずお読みいただき同意いただけた場合は、確認画面へお進みください。
<見学予約特典・ギフトカードプレゼントについて>
ご来店時に予約完了メールをスタッフまでご提示ください。
2回目のお打ち合わせ時に、ご指定のギフトカードをプレゼントいたします。
※当キャンペーンは、当社に初めてご来場いただくご家族様1回のみ有効。住宅の建築・購入をご検討の方に限ります。
※ご予約前に当社へお問い合わせ、来場、ご契約されていた場合、当キャンペーンの対象外となります。

未入力項目があります

  • 上記内容と現況が異なる場合には現況優先といたします。
  • 未完成建物の外観写真は類似する建物であり、実際のものとは異なります。
  • 完成予測図、イメージパースは図面を基に書き起こしたもので実際のものと若干異なる場合がございます。
  • 写真は一部CG加工を施している場合がございます。
  • 掲載写真内の家具調度品は価格に含まれません。
  • 設備及び仕様写真は参考イメージです。実際のものと異なる場合がございます。
  • 徒歩所要時間は1分=80mとして換算したもので、距離は地図上の換算によるものです。
  • 地図は物件付近を表すものであり、実際の物件所在地とは異なる場合がございます。
  • 建築条件付売地とは、土地売買契約締結後3ヶ月以内に売主、または代理と建築請負契約をしていただくことを条件に販売いたします。この期間内に建築請負契約が成立しなかった場合は、土地売買契約は白紙解約になり、受領した手付金等の土地代金は無利息にて全てお返しいたします。
  • 情報更新日から現在までの間に売却済となってしまった場合はご了承ください。

土地

つくば市玉取12号地

930万円

月々の支払い 約2.2万円/月 930万円を金利0.720%で40年借入れした場合の試算。

支払いシミュレーション

借入金額
返済期間
金利
ボーナス時の増額(1回分)
頭金
毎月の返済額
  • ※元利均等方式 金利5.00%までです。
  • ※返済年数5~50年まで入力できます。
  • ※ボーナスは年2回で計算しています。1,000万円まで入力できます。
  • ※物件購入時、その他諸費用が発生する場合がございます。
  • 本下水

大曽根小学校まで徒歩12分
全19区画、60坪以上、価格580万円~1,180万円
自由設計で理想のマイホームを!
フルオーダー、セミオーダー可能です!
◇資料請求・現地見学などお気軽にご連絡ください◇

土地面積 206.12㎡(62.35坪)
小学校 大曽根小学校(約950m)
中学校 大穂中学校(約3,650m)

通話無料 ファイブイズホーム つくば店

0120-01-2546

営業時間 10:00~19:00(火・水定休)

トップへ戻る