公式ホーム > 物件トップ > 新築一戸建て > 所沢市 > 所沢市小手指元町2丁目3号棟

所沢市小手指元町2丁目3号棟

3号棟 間取り図
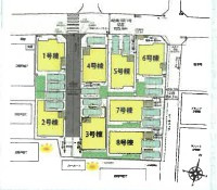
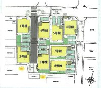
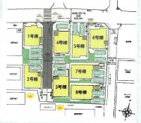
区画図

間取りと建物配置は
快適な暮らしの重要ポイントです。

  • 3号棟 間取り図

    3号棟 間取り図

  • 区画図

    区画図

周辺環境

カーナビ住所:
所沢市小手指元町2-17-2

この物件の⽣活環境をチェック

ご家族様の⽣活シーンにあてはめて、新しい暮らしを想像してみてください

  • 小手指駅の画像

    小手指駅
    - 約960m

  • 所沢市立小手指小学校の画像

    所沢市立小手指小学校
    - 約400m

  • 所沢市立小手指中学校の画像

    所沢市立小手指中学校
    - 約680m

  • マミーマート 所沢山口店の画像

    マミーマート 所沢山口店
    - 約880m

  • ヨークフーズ小手指店の画像

    ヨークフーズ小手指店
    - 約1,060m

  • 島忠ホームズ 所沢店の画像

    島忠ホームズ 所沢店
    - 約1,980m

  • 上新井さとうクリニックの画像

    上新井さとうクリニック
    - 約1,320m

  • 宮後公園の画像

    宮後公園
    - 約610m

近くのお店・施設

小手指駅 約960m/12分

所沢市立小手指小学校 約400m/5分

所沢市立小手指中学校 約680m/9分

マミーマート 所沢山口店 約880m/11分

ヨークフーズ小手指店 約1,060m/14分

島忠ホームズ 所沢店 約1,980m/25分

上新井さとうクリニック 約1,320m/17分

宮後公園 約610m/8分

物件概要

所在地 埼玉県所沢市小手指元町2丁目
交通
  • 西武池袋線「小手指」駅 徒歩10分
  • 西武狭山線「下山口」駅 徒歩30分
  • 西武新宿線「新所沢」駅 
販売価格 4,798万円
総戸数 8戸 販売戸数 -
物件種別 新築一戸建 取引態様 仲介
用途地域 第一種低層住居専用 都市計画 市街化区域
土地権利 所有権 土地面積(坪数) 179.47㎡(54.28坪)
接道状況 一方(東 公道 5.4m)
建物面積(坪数) 113.21㎡(34.24坪) 建物構造 木造(2階建)
間取り/詳細 3LDK/
LDK 16.8帖 1室/洋室 6.1帖 1室/洋室 6.0帖 1室/洋室 5.2帖 2室
駐車場 駐車場2台
建物完成年月 2026年 3月 引渡し可能年月 2026年3月下旬
建築確認番号 25UDI1W建08374 現況 未完成
セットバック 物件番号 100234483
管理コード - 取引条件の有効期限 2026年01月20日
情報更新日 2026年01月06日 次回更新予定日 2026年01月20日
その他の法令上の制限 景観法/航空法/農地法届出要/※協定道路/1-2:1.03平米の内1/1、2-2:54.30平米の内1/1、3-2:54.43平米の内1/1、4-2:0.96平米の内1/11・1~4号棟:協定道路につき地役権の設定あり
設備
  • 都市ガス
  • 公営水道
  • 公共下水
  • ガスコンロ
  • コンロ2口以上
  • コンロ3口
備考 ~Life Information~
◆コンビニ・スーパー・ドラッグストアまで徒歩11分圏内!
◇小手指小学校まで徒歩5分・小手指中学校まで徒歩9分と教育施設も安心の距離です♪
◆近くにあると嬉しい公園も徒歩8分圏内の立地です!
◇生活利便施設が多く点在し毎日のお買い物も休日も楽しみになる住環境です♪

~SPEC~
◆2階窓から行ききできる続きバルコニー!
◆LDK16.8帖!2階洋室は将来の家族構成の変化に対応可能なゆったり間取プラン!
◇各部屋収納・床下収納などなど、あると嬉しい設備仕様充実!
広告主 株式会社ファイブイズホーム
埼玉県行田市持田3丁目2-17
TEL:048-553-2272
宅地建物取引業免許:国土交通大臣(2)第8822号
加盟団体(公社)埼玉県宅地建物取引業協会
(一社)群馬県宅地建物取引業協会
(公社)栃木県宅地建物取引業協会
(公社)茨城県宅地建物取引業協会
(公社)首都圏不動産公正取引協議会
(一社)兵庫県宅地建物取引業協会

オープンハウス情報

開催
日時

毎週土日祝   10:00 ~ 19:00

※事前に必ずお問い合わせください

・。*・。*・。*・。*・。*・。*・。


 ≪本日、ご見学可能です!≫
 ※今すぐ見たい!もちろん大歓迎♪


 
 ○お打合せ室から目の届く
   キッズスペース完備!
  ※スタッフ1名が付き添います。
 ●現地集合現地解散OKです!
 ○無料駐車場あり
 ●ご希望がございましたら
  送迎も可能です!


  好評分譲中につき、
 先着順になります。

  ご見学の際は、事前に所沢店まで
  お問い合わせください!
 【所沢店】0120-989-203



 株式会社ファイブイズホームは
 不動産販売 兼 建築請負会社です。


“生活エンジョイ住宅”を理念に掲げ

 「家事」「収納」「子育て」
    を中心に設計

 皆様にお住まいをご提供しています。


 おかげ様で11のエリアで
 地域シェアNo.1の実績を
 獲得しました。



・。*・。*・。*・。*・。*・。*・。

所要時間は約1分!簡単入力!

この物件にお問い合わせ(無料)

0/0
必須項目完了

確認画面へ
お進み下さい

0/0
必須項目完了

確認画面へ
お進み下さい

お問い合わせ内容

必須

氏名

必須

メールアドレス

必須

電話番号

必須

郵便番号

都道府県

必須

市町村番地

必須

ご見学希望日

必須

ご見学希望時間

必須

その他、ご要望などご自由にご記入ください

<個人情報の取り扱いについて>
利用規約及びプライバシーポリシーを必ずお読みいただき同意いただけた場合は、確認画面へお進みください。

未入力項目があります

  • 上記内容と現況が異なる場合には現況優先といたします。
  • 未完成建物の外観写真は類似する建物であり、実際のものとは異なります。
  • 完成予測図、イメージパースは図面を基に書き起こしたもので実際のものと若干異なる場合がございます。
  • 写真は一部CG加工を施している場合がございます。
  • 掲載写真内の家具調度品は価格に含まれません。
  • 設備及び仕様写真は参考イメージです。実際のものと異なる場合がございます。
  • 徒歩所要時間は1分=80mとして換算したもので、距離は地図上の換算によるものです。
  • 地図は物件付近を表すものであり、実際の物件所在地とは異なる場合がございます。
  • 建築条件付売地とは、土地売買契約締結後3ヶ月以内に売主、または代理と建築請負契約をしていただくことを条件に販売いたします。この期間内に建築請負契約が成立しなかった場合は、土地売買契約は白紙解約になり、受領した手付金等の土地代金は無利息にて全てお返しいたします。
  • 情報更新日から現在までの間に売却済となってしまった場合はご了承ください。

新築一戸建て

所沢市小手指元町2丁目3号棟

4,798万円

月々の支払い 約11.5万円/月 4,798万円を金利0.720%で40年借入れした場合の試算。

支払いシミュレーション

借入金額
返済期間
金利
ボーナス時の増額(1回分)
頭金
毎月の返済額
  • ※元利均等方式 金利5.00%までです。
  • ※返済年数5~50年まで入力できます。
  • ※ボーナスは年2回で計算しています。1,000万円まで入力できます。
  • ※物件購入時、その他諸費用が発生する場合がございます。
  • 新築一戸建て
  • 3LDK
  • 駐車場2台
  • 駅徒歩10分以内
  • 都市ガス
  • 本下水

■西武池袋線【小手指駅】徒歩12分!開放的な両面道路!
□16.8帖LDK・食器洗浄乾燥機・全居室クローゼット付き!
■24時間換気・カースペース2台・経済的な都市ガス!
□資料請求・ご見学をご希望の際はお気軽にお問い合わせください!

土地面積 179.47㎡(54.28坪)
建物面積 113.21㎡(34.24坪)
小学校 -
中学校 所沢市立小手指中学校(約680m)

通話無料 ファイブイズホーム 所沢店

0120-989-203

営業時間 10:00~19:00(火・水定休)

トップへ戻る