公式ホーム > 物件トップ > 新築一戸建て > 行田市 > 行田市桜町3丁目1号棟

行田市桜町3丁目1号棟

行田市桜町3丁目9区画1号棟 完成イメージ すっきりとした印象の外観デザインとなっております。
修正中 行田市桜町3丁目9区画1号棟 間取り 水回りをまとめた掃除のしやすい間取り♪各居室6帖以上のゆとりある住まいとなっております。
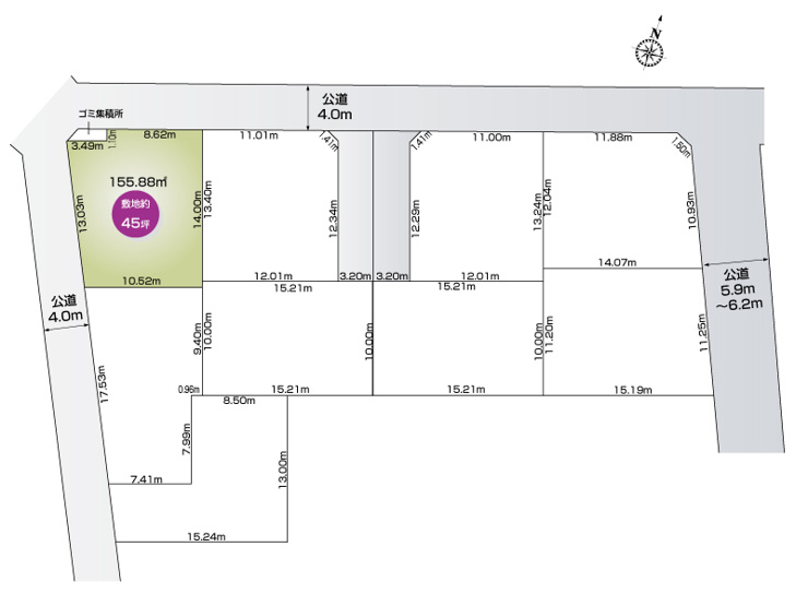
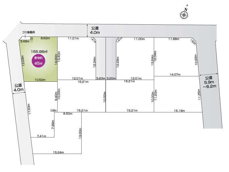
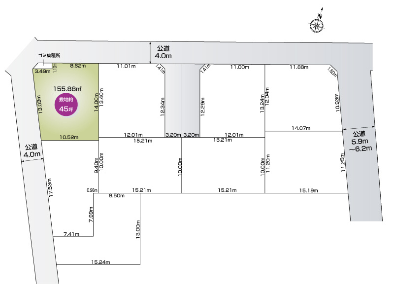
行田市桜町3丁目9区画1号棟 配置図 車3台駐車可能! 
行田市桜町3丁目 全9区画の分譲地 
【スマートドアキー - YKK AP】 付属のリモコンキーは、カバンに入れた状態でワンタッチ開錠出来る優れもの。また非常用カギが内蔵されているので、停電時も安心してお使いいただけます。
【テレビドアホン(Panasonic)】室内のモニターで来訪者を確認し応答可能。録画機能(静止画)つきなので、留守中の来訪者も後から確認できます。
行田市桜町3丁目9区画1号棟 LDK(同仕様・施工例)家族が集うくつろぎの空間とし家具を置いてもゆとりある広さをご用意しました。※インテリアは金額に含まれません。
行田市桜町3丁目9区画1号棟 キッチン(同仕様・施工例)並んで調理できるシステムキッチンはインテリアに合わせやすい人工大理石のワークトップを採用しました。※インテリアは金額に含まれません。
行田市桜町3丁目9区画1号棟 和室(同仕様・施工例)リビングと続き間になっている和室は、お子様の遊び場や客間として自由にお使いいただけます。
行田市桜町3丁目9区画1号棟 洗面室(同仕様・施工例)鏡裏収納付きのスッキリとした使いやすい洗面台を設置しました。
行田市桜町3丁目9区画1号棟 浴室(同仕様・施工例)足を伸ばしてゆっくりと浸かれる浴槽の浴室。浴室暖房乾燥機付きなので雨の日や花粉の時期のお洗濯にも大活躍です。
行田市桜町3丁目9区画1号棟 主寝室収納(同仕様・施工例)主寝室には収納量豊富なWICをご用意しました。
【制震ダンパー】 地震のエネルギーを吸収し、揺れを制御する木造住宅用制震ダンパー。建物自体の強度を上げ、建物の倒壊を防ぐ「耐震」に「制震」を加えることで、より安心・安全な住まいを実現します。
【鉄筋コンクリートベタ基礎】ベタ基礎は地面全体を基礎で覆うため、建物の荷重を分散して地面に伝えることができ、不動沈下に対する耐久性や耐震性を向上することができます。
【在来工法】柱、梁、土台、筋交いなどで作られる伝統的な日本古来の工法で、設計自由度が高く、耐久性に優れた構造です。床は剛床工法とし、一般的な根太工法より剛性を高める、ねじれに強い工法を採用しています。
【断熱性】断熱性能を高めることで、省エネで冷暖房効率の良い快適な暮らしを実現。シックハウス症候群の原因の一つともいわれているホルムアルデヒドを含まない材料を使用しています。
【トイレ(ベーシアシャワー - LIXIL)】フチレス形状やお掃除リフトアップ機能などお手入れのしやすさが特徴。壁設置型のリモコンと2連紙巻き器が備え付けとなっている節水タイプのシャワートイレです。
【エピソードII NEO(YKK AP)】室内側に断熱効果を高める樹脂を使用したアルミ樹脂複合窓。断熱性に優れているので、冷暖房費の節約につながります。
【外構設備】 ファイブイズホームの分譲住宅は、ご入居直後から快適に暮らせるよう、駐車スペースのコンクリート打ちや砂利敷き、境界フェンスなど、基本的な外構工事が付いてきます。
行田市桜町3丁目9区画1号棟 完成イメージ すっきりとした印象の外観デザインとなっております。

間取りと建物配置は
快適な暮らしの重要ポイントです。

  • 修正中 行田市桜町3丁目9区画1号棟 間取り 水回りをまとめた掃除のしやすい間取り♪各居室6帖以上のゆとりある住まいとなっております。

    修正中 行田市桜町3丁目9区画1号棟 間取り 水回りをまとめた掃除のしやすい間取り♪各居室6帖以上のゆとりある住まいとなっております。

  • 行田市桜町3丁目9区画1号棟 配置図 車3台駐車可能! 

    行田市桜町3丁目9区画1号棟 配置図 車3台駐車可能! 

  • 行田市桜町3丁目 全9区画の分譲地 

    行田市桜町3丁目 全9区画の分譲地 

物件の写真

周辺環境

カーナビ住所:
行田市桜町3丁目18-18付近

この物件の⽣活環境をチェック

ご家族様の⽣活シーンにあてはめて、新しい暮らしを想像してみてください

  • 行田市立桜ヶ丘小学校の画像

    行田市立桜ヶ丘小学校
    - 約750m

  • 行田市立長野中学校の画像

    行田市立長野中学校
    - 約710m

  • 長野保育園の画像

    長野保育園
    - 約330m

  • セブンイレブン行田桜町3丁目店の画像

    セブンイレブン行田桜町3丁目店
    - 約190m

  • ベルク行田長野店の画像

    ベルク行田長野店
    - 約230m

  • ハードオフ 行田店の画像

    ハードオフ 行田店
    - 約110m

  • パステル21の画像

    パステル21
    - 約120m

  • 松原医院の画像

    松原医院
    - 約120m

  • ワッツ行田店(100円ショップ シルク)の画像

    ワッツ行田店(100円ショップ シルク)
    - 約320m

  • 行田桜町郵便局の画像

    行田桜町郵便局
    - 約350m

  • ナルどうぶつ病院の画像

    ナルどうぶつ病院
    - 約430m

  • 行田中央総合病院の画像

    行田中央総合病院
    - 約330m

  • 上式公園の画像

    上式公園
    - 約180m

  • 田幡公園の画像

    田幡公園
    - 約110m

  • 行田市 児童交通公園の画像

    行田市 児童交通公園
    - 約480m

  • シャトレーゼ の画像

    シャトレーゼ
    - 約660m

  • 武蔵公園の画像

    武蔵公園
    - 約780m

  • ヤオコー行田藤原店の画像

    ヤオコー行田藤原店
    - 約820m

  • ジェーソン行田店の画像

    ジェーソン行田店
    - 約710m

  • 行田幼稚園の画像

    行田幼稚園
    - 約890m

近くのお店・施設

行田市立桜ヶ丘小学校 約750m/10分

行田市立長野中学校 約710m/9分

長野保育園 約330m/5分

セブンイレブン行田桜町3丁目店 約190m/3分

ベルク行田長野店 約230m/3分

ハードオフ 行田店 約110m/2分

パステル21 約120m/2分

松原医院 約120m/2分

ワッツ行田店(100円ショップ シルク) 約320m/4分

行田桜町郵便局 約350m/5分

ナルどうぶつ病院 約430m/6分

行田中央総合病院 約330m/5分

上式公園 約180m/3分

田幡公園 約110m/2分

行田市 児童交通公園 約480m/6分

シャトレーゼ 約660m/9分

武蔵公園 約780m/10分

ヤオコー行田藤原店 約820m/11分

ジェーソン行田店 約710m/9分

行田幼稚園 約890m/12分

最新の住宅設備で快適な暮らしを実現します。

  • 食器洗い乾燥機

    食器洗い乾燥機

  • 浴室換気乾燥暖房機

    浴室換気乾燥暖房機

  • シャワートイレ

    シャワートイレ

  • シューズボックス

    シューズボックス

  • インターホン

    インターホン

  • 樹脂複合サッシ

    樹脂複合サッシ

  • クリアネット網戸

    クリアネット網戸

  • 室内物干し

    室内物干し

  • 室外物干し金物

    室外物干し金物

  • 省エネ給湯器

    省エネ給湯器

  • 宅配ボックス搭載門柱

    宅配ボックス搭載門柱

  • 外構設備

    外構設備

食器洗い乾燥機

■キッチンと美しく一体化。手で洗うよりも節水になり、家事の負担も軽減できます。(※システムキッチン付属の設備です。各メーカーの仕様に準じます。)

浴室換気乾燥暖房機

■換気・乾燥・暖房・涼風機能でバスルームを最適な環境に調整。乾燥は衣類乾燥にもご活用いただけます。暖房は、冬場のヒートショック対策に効果的です。

シャワートイレ

■ベーシアシャワートイレ(LIXIL)■フチレス形状やお掃除リフトアップ機能などお手入れのしやすさが特徴。壁設置型のリモコンと2連紙巻き器が備え付けとなっている超節水タイプのシャワートイレです。

シューズボックス

■約60足分の靴が収納可能。ボックス内部は高さを自由に変更できる可動棚となっており、様々なサイズの靴やブーツが収納できます。棚板は樹脂製なので汚れたら水洗い可能です。

インターホン

■テレビドアホン(Panasonic)■室内のモニターで来訪者を確認し応答可能。録画機能(静止画)つきなので、留守中の来訪者も後から確認できます。夜に便利なLEDライトも搭載。

樹脂複合サッシ

■エピソードII NEO(YKK AP)■室内側に断熱効果を高める樹脂を使用したアルミ樹脂複合窓。断熱性能に優れ冷暖房費の節約につながります。高い防露性能で汚れやカビを抑制し清潔な空間を保ちます。

クリアネット網戸

■外の景色がクリアに見える網戸。細かい網目と細い糸で、防虫性に優れています。糸と糸の交差部を融着する技術により、ほこりがすき間に入りにくく、眺望性を保ちます。

室内物干し

■ホスクリーン(川口技研)■室内干しを「もっと便利に」「もっとスマートに」の声から生まれたホスクリーン。使わない時は取り外せるのでじゃまにならず、使う時にはしっかり役に立ちます。

室外物干し金物

■2階のバルコニーに水平式物干しを設置。外壁に固定されているので強風で倒れる心配もなく、家族みんなの洗濯物を干すことができます。

省エネ給湯器

■エコジョーズ(リンナイ)■少ないガス量で効率よくお湯を沸かす省エネ性の高い給湯機です。従来型の給湯機と比べてガス使用量が12%カットできます。

宅配ボックス搭載門柱

■宅配便を無人で受け取れる宅配ボックスを搭載した門柱。時間指定や再配達といった手間を気にせずお荷物を受け取れます。

外構設備

■駐車スペースや玄関まわりに砂利やコンクリートなどの外構設備が施されています。また、隣家との境界にはフェンスが設置されています。

安心・安全な住まいを提供します。

  • 制振装置

    制振装置

  • ベタ基礎工法

    ベタ基礎工法

制振装置

■Kダンパー(IMA)■耐震、制震2つの性能を併せ持つ装置で、効率よく地震の揺れを抑える工夫がされている高性能ダンパーです。認定機関による厳しい試験や審査をクリアした国が認めた製品です。

ベタ基礎工法

■ベタ基礎は地面全体を基礎で覆うため建物の荷重を分散して地面に伝えることができ、不動沈下に対する耐久性や耐震性を向上させることができます。また、床下全面がコンクリートになるので防湿対策にもなります。

物件概要

所在地 埼玉県行田市桜町3丁目
交通
  • 秩父鉄道「東行田」駅 徒歩5分
  • 高崎線「吹上」駅 徒歩67分
販売価格 2,580万円
総戸数 9戸 販売戸数 8戸
物件種別 新築一戸建 取引態様 売主
用途地域 第一種住居 都市計画 市街化区域
土地権利 所有権 土地面積(坪数) 155.88㎡(47.15坪)
接道状況 角地(北 公道 4.0m 間口 8.6m)(西 公道 4.0m 間口 13.0m)
建物面積(坪数) 107.64㎡(32.56坪) 建物構造 木造(2階建)
間取り/詳細 4LDK/
LDK 15.6帖 1室/和室 6.0帖 1室/洋室 7.5帖 1室/洋室 6.0帖/和室 6.5帖 1室
駐車場 駐車場3台
建物完成年月 2026年 3月 引渡し可能年月 相談
建築確認番号 SJK-KX255825910 現況 未完成
セットバック 物件番号 99238950
管理コード 2422001 取引条件の有効期限 2025年12月11日
情報更新日 2025年11月27日 次回更新予定日 2025年12月11日
その他の法令上の制限 ※埋蔵文化財エリア、特別工業地区
設備
  • 都市ガス
  • 公営水道
  • 公共下水
広告主 株式会社ファイブイズホーム
埼玉県行田市持田3丁目2-17
TEL:048-553-2272
宅地建物取引業免許:国土交通大臣(2)第8822号
加盟団体(公社)埼玉県宅地建物取引業協会
(一社)群馬県宅地建物取引業協会
(公社)栃木県宅地建物取引業協会
(公社)茨城県宅地建物取引業協会
(公社)首都圏不動産公正取引協議会
(一社)兵庫県宅地建物取引業協会

所要時間は約1分!簡単入力!

この物件にお問い合わせ(無料)

今スグ見学予約でプレゼントGET!今なら3,000円分のギフトカードプレゼント!

0/0
必須項目完了

確認画面へ
お進み下さい

0/0
必須項目完了

確認画面へ
お進み下さい

お問い合わせ内容

必須

氏名

必須

メールアドレス

必須

電話番号

必須

郵便番号

都道府県

必須

市町村番地

必須

ご見学希望日

必須

ご見学希望時間

必須

その他、ご要望などご自由にご記入ください

<個人情報の取り扱いについて>
利用規約及びプライバシーポリシーを必ずお読みいただき同意いただけた場合は、確認画面へお進みください。
<見学予約特典・ギフトカードプレゼントについて>
ご来店時に予約完了メールをスタッフまでご提示ください。
2回目のお打ち合わせ時に、ご指定のギフトカードをプレゼントいたします。
※当キャンペーンは、当社に初めてご来場いただくご家族様1回のみ有効。住宅の建築・購入をご検討の方に限ります。
※ご予約前に当社へお問い合わせ、来場、ご契約されていた場合、当キャンペーンの対象外となります。

未入力項目があります

  • 上記内容と現況が異なる場合には現況優先といたします。
  • 未完成建物の外観写真は類似する建物であり、実際のものとは異なります。
  • 完成予測図、イメージパースは図面を基に書き起こしたもので実際のものと若干異なる場合がございます。
  • 写真は一部CG加工を施している場合がございます。
  • 掲載写真内の家具調度品は価格に含まれません。
  • 設備及び仕様写真は参考イメージです。実際のものと異なる場合がございます。
  • 徒歩所要時間は1分=80mとして換算したもので、距離は地図上の換算によるものです。
  • 地図は物件付近を表すものであり、実際の物件所在地とは異なる場合がございます。
  • 建築条件付売地とは、土地売買契約締結後3ヶ月以内に売主、または代理と建築請負契約をしていただくことを条件に販売いたします。この期間内に建築請負契約が成立しなかった場合は、土地売買契約は白紙解約になり、受領した手付金等の土地代金は無利息にて全てお返しいたします。
  • 情報更新日から現在までの間に売却済となってしまった場合はご了承ください。

新築一戸建て

行田市桜町3丁目1号棟

2,580万円

月々の支払い 約6.2万円/月 2,580万円を金利0.720%で40年借入れした場合の試算。

支払いシミュレーション

借入金額
返済期間
金利
ボーナス時の増額(1回分)
頭金
毎月の返済額
  • ※元利均等方式 金利5.00%までです。
  • ※返済年数5~50年まで入力できます。
  • ※ボーナスは年2回で計算しています。1,000万円まで入力できます。
  • ※物件購入時、その他諸費用が発生する場合がございます。
  • 新築一戸建て
  • 4LDK
  • 仲介手数料無料
  • 見学可
  • 当社限定
  • 制震構造
  • 地盤調査済
  • 宅配ボックス
  • 駐車場2台
  • 駐車場3台
  • 角地
  • 駅徒歩5分以内
  • 都市ガス
  • 本下水
  • 家事ラク動線
  • 全室南向き
  • 収納豊富
  • WIC
  • 全居室収納
  • 和室
  • 対面キッチン

☆NEW☆\駅徒歩5分!全居室南向き/
~各居室6帖以上のゆとりある住まい~

\2026年3月完成予定/

<物件のポイント>
■各居室6帖以上の4LDK
■車3台駐車可能
■食洗機・宅配ボックス
■水回りがまとまった間取り
■制震ダンパー

<生活環境>
■小学校徒歩10分
■スーパー徒歩3分
■バス停徒歩3分
■総合病院徒歩5分

◇資料請求・見学のご予約などお気軽にお問い合わせください!

土地面積 155.88㎡(47.15坪)
建物面積 107.64㎡(32.56坪)
小学校 行田市立桜ヶ丘小学校(約750m)
中学校 行田市立長野中学校(約710m)

通話無料 ファイブイズホーム 行田店

0120-032-272

営業時間 10:00~19:00(火・水定休)

トップへ戻る